News Flash Home
The original item was published from 8/27/2020 2:48:45 PM to 8/27/2020 3:15:53 PM.

News Flash

Manville News

Posted on: August 27, 2020

[ARCHIVED] Updated Recycling Tote Expansion

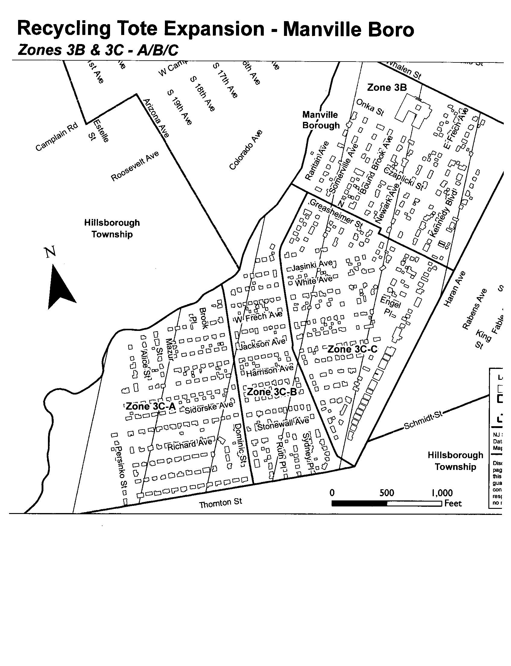
Please be advised Somerset County Dept. of Recycling  has expanded the area receiving new Recycling Totes.  If you have any questions or require assistance please contact Somerset County Recycling at 732-469-3363.Updated_Recycling_Tote_Expansion_Map

Facebook Twitter Email

Other News in Manville News